Einstimmung auf das kommende Weihnachtsfest
Adventskonzerte des Männerchors Haisterkirch fanden größten Anklang
Bad Waldsee/Bad Wurzach – Die beliebten Adventskonzerte des Männerchors Haisterkirch fanden auch 2025 traditionell am 3. Adventssonntag in der Hofgartenklinik Bad Waldsee wie am Abend danach in der Reha-Klinik Bad Wurzach den schon gewohnt riesigen Zuspruch. Die Programmfolge in Bad Wurzach war nahezu identisch mit der in Bad Waldsee. Hier ein Bericht über das Konzert in Bad Waldsee.
mit Bildergalerie
veröffentlicht am 18. Dezember 2025
Über 1.000 Besucher waren gekommen
Gospelchor Aitrach erfreute mit zwei Konzerten in der Vorweihnachtszeit
Aitrach – Und wie in jedem Jahr waren auch die Konzerte 2025 in Aichstetten und Leutkirch wieder gut besucht. Über 1.000 begeisterte Zuhörer waren gekommen und es hat sich gelohnt. Zwei bis auf die letzten Plätze vollbesetzte Häuser waren Lohn der intensiven Vorbereitung.
Was für ein Erlebnis für drei Buben aus der Region!
Als Gewinner bei der Weltsparwoche mit den Fußballstars ins Stadion eingelaufen
Leutkirch / München – Im Rahmen der Weltsparwoche veranstaltete die Volksbank Allgäu-Oberschwaben (VBAO), dank Mastercard, ein Gewinnspiel, das auf enorme Resonanz stieß. Insgesamt 1458 Kinder aus der Region nahmen daran teil – ein eindrucksvoller Beweis für das große Interesse und die Verbundenheit der Mitglieder und Kunden zur Bank. Für drei glückliche Gewinner gab es ein unvergessliches Erlebnis: Sie durften mit den Campions-League-Stars des FC Bayern München und von Sporting Lissabon in d…
39-Jähriger muss in die Arrestzelle
Polizei nimmt Aggressor in Gewahrsam
Bad Wurzach – Die Nacht auf Donnerstag endete für einen 39-Jährigen in der Arrestzelle des Polizeireviers Leutkirch sowie mit Anzeigen wegen Beleidigung und Widerstands gegen Vollstreckungsbeamte.
Öffnungszeiten über die Feiertage und den Jahreswechsel
Stadtverwaltung vom 24. Dezember bis 1. Januar geschlossen
Bad Wurzach – Die Stadtverwaltung weist darauf hin, dass sämtliche Verwaltungsstellen und die Ortsverwaltungen an den Werktagen zwischen Weihnachten und Neujahr und damit vom 24. Dezember bis einschließlich 1. Januar nicht erreichbar sind. Die Schließung umfasst auch das Bürgerbüro, die städtische Bücherei sowie die städtischen Kindergärten. Ebenfalls nicht zur Verfügung steht in dieser Zeit die öffentliche Toilette im Amtshaus.
http://www.rv.de/abfallkalender
Der digitale Abfallkalender 2026 ist abrufbar
Ravensburg – Der digitale Abfallkalender 2026 für den Landkreis Ravensburg steht in der Abfall-App RV sowie auf der Landkreis-Homepage unter www.rv.de/abfallkalender bereit.
Weihnachtszauber in Bad Wurzach
Am Ort einkaufen und gewinnen
Bad Wurzach – Der Handels- und Gewerbeverein Bad Wurzach lädt alle Kundinnen und Kunden herzlich dazu ein, an der diesjährigen Weihnachtsaktion „Weihnachtszauber in Bad Wurzach“ teilzunehmen. Denn in diesem Advent lohnt sich lokales Einkaufen ganz besonders: Wer in den teilnehmenden Geschäften einkauft (erkennbar an den Plakaten „Weihnachtszauber Bad Wurzach – wir machen mit), kann nicht nur die weihnachtliche Atmosphäre genießen, tolle Geschenkideen finden, sondern auch attraktive Preise gew…
Aburteilung im beschleunigten Verfahren
Dreiste Diebstähle in Bad Wurzach und Leutkirch
Leutkirch / Bad Wurzach – Zu hohen Geldstrafen sind zwei 41 und 42 Jahre alte Tatverdächtige im beschleunigten Verfahren verurteilt worden, die am Montag (15.12.) in Leutkirch und in Bad Wurzach offenbar auf Diebestour waren.
88339 Bad Waldsee
88410 Bad Wurzach
88339 Bad Waldsee
88353 Kißlegg-Immenried
88410 Bad Wurzach
88317 Aichstetten
88339 Bad Waldsee
Spielbericht 13./ 14. Dezember
TSG-Kegeln: Ein Wochenende voller Emotionen, Siege und Nervenkitzel
Bad Wurzach – Ein wahrlich wahnsinniges Kegelwochenende liegt hinter den Mannschaften der TSG Bad Wurzach. Freude, Erleichterung, Enttäuschung und pure Spannung lagen an diesem dritten Adventswochenende ganz nah beieinander. Zwei langersehnte und hart erarbeitete Heimsiege, eine bittere Auswärtsniederlage sowie ein dramatisches Unentschieden gegen den Tabellenführer sorgten für ein Wochenende, das Spielern, Verantwortlichen und Zuschauern noch lange in Erinnerung bleiben dürfte.
Taekwondo e.V. Bad Wurzach
2.Dan. für Werner Hoch und Ferad Ersöz
Bad Wurzach – Am 13 Dezember fand in Lauingen die Württembergische Taekwondo Landes-DAN-Prüfung statt. Ein bedeutendes Ereignis im württembergischen Kampfsportmetier, das den Teilnehmenden höchste körperliche, technische und mentale Leistungsfähigkeit abverlangte.
mit Bildergalerie
veröffentlicht am 17. Dezember 2025
Klein aber fein!
Weihnachtsmärktle in Unterschwarzach
Unterschwarzach – Ein kleiner aber feiner Weihnachtsmarkt, bei dem sich viele Vereine von Unterschwarzach und Eggmannsried engagieren, hat sich in Unterschwarzach bei und im Gebäude von Rathaus und Schule etabliert.
mit Bildergalerie
veröffentlicht am 17. Dezember 2025
Wegen der Feiertage
Bürgerbüro hat im Januar erst am zweiten Samstag geöffnet
Bad Wurzach – Grundsätzlich hat das Bürgerbüro bei der Stadtverwaltung jeweils am ersten Samstag im Monat für die Bürgerschaft geöffnet. Im Januar wird der entsprechende Wochenendöffnungstag allerdings wegen der Feiertage rund um den Jahreswechsel auf Samstag, 10. Januar verlegt. Die Stadtverwaltung bittet um Verständnis. Bürgerinnen und Bürger werden um Beachtung gebeten.
Am 20. Dezember
Reservisten wandern zur Sebastianskapelle
Haisterkirch – Der Verband der Reservisten der Bundeswehr lädt die Reservisten aus dem Raum Bad Waldsee, Bad Wurzach und Aulendorf am 20. Dezember zu einer Weihnachtswanderung mit Gottesdienst in der Sebastianskapelle oberhalb von Haisterkirch ein. Treffpunkt ist um 16.30 Uhr vor dem Klosterhof in Haisterkirch (Ortsverwaltung). Der Gottesdienst in und an der Wallfahrtskapelle St. Sebastian findet gegen 18.00 Uhr statt. Eingeladen sind auch interessierte Bürger. In der Einladung heißt es:
Luftpistolenmannschaft Bad Wurzach
Überzeugender Auftritt in Leutkirch: Bad Wurzach 1 gewinnt vierten Wettkampf mit 4:1
Bad Wurzach – Die Luftpistolenmannschaft Bad Wurzach 1 hat ihren vierten Rundenwettkampf der Saison ( Dezember-Wettkampf) beim SSV Leutkirch souverän mit 4:1 Einzelpunkten gewonnen. Mit diesem überzeugenden Auswärtssieg beweist das Team, dass es in der Kreisoberliga weiter angreifen will. Die Mannschaft zeigte eine geschlossene und nervenstarke Leistung, die in vier von fünf Paarungen zum Sieg führte.
Kita Regenbogen
Besuch des Nikolaus im Kurpark
Bad Wurzach – Auf ganz besondere Art und Weise durften die Kinder und Eltern der Kita Regenbogen in diesem Jahr den Nikolaus mit seinem Gehilfen Knecht Ruprecht in Empfang nehmen.
Narrenzunft D’Riedmeckeler Bad Wurzach e.V.
Standvergabe für Rosenmontag, 16. Februar 2026
Bad Wurzach – Die Narrenzunft “D’Riedmeckeler” teilt mit: Anmeldeschluss für die Standvergabe am Rosenmontag ist der 17. Dezember 2025. Für Rosenmontag, 16. Februar 2026, wird Folgendes festgelegt:
TSG Bad Wurzach – Abteilung Turnen
Nikolausfeier begeisterte mit vielfältigem Programm
Bad Wurzach – Die Riedsporthalle war am 7. Dezember bis auf den letzten Platz gefüllt und selbst die Parkplätze rund um die Halle stießen an ihre Grenzen. Der Grund: Die TSG Bad Wurzach, Abteilung Turnen, lud zur diesjährigen Nikolausfeier ein – ein festlicher und schöner Programmpunkt in der Vorweihnachtszeit und ein Abschluss des Turnerjahres.
mit Bildergalerie
veröffentlicht am 9. Dezember 2025
Ein Jagdtag im Jagdbogen Laubach: Unser Reporter Hans Reichert berichtet
Einmal dabei sein: Als Treiber in einer Drückjagd
Steinhausen a. d. Rottum – Unser Reporter Hans Reichert hat bei einer Treibjagd mitgemacht. Als Treiber, nicht als Jäger. Die Drückjagd, wie die hier beschriebene Form der Jagd fachmännisch heißt, fand am 11. November im Jagdbogen Laubach statt, zwischen Hirschbronn und Steinhausen an der Rottum. Hier sein Bericht:
Seit 1993 unter der Führung von Maria Hartel
Die „Aktionsgemeinschaft für das Leben” besteht seit 40 Jahren
Wolfegg – Die Aktionsgemeinschaft für das Leben, ein eingetragener Verein, der sich in Oberschwaben für den Schutz des menschlichen Lebens in all seinen Phasen, zu Beginn und auch am Ende, einsetzt, besteht seit 40 Jahren. Gegründet 1985 von den CDU-Politikern Josef Dreier, Claus Jäger, Alfons Maurer und Alois Graf von Waldburg-Zeil, wird die Vereinigung seit 32 Jahren von Maria Hartel aus Aulendorf geführt. Am 29. November hielt man Rückschau auf die 40 Jahre und die Ehrenvorsitzende Benedik…
Kirchenchor und Orchester
Bachs Weihnachtsoratorium am 20. Dezember in der Verena-Kirche in Bad Wurzach
Bad Wurzach – Der Kirchenchor St. Verena Bad Wurzach führt am 20. Dezember um 19.00 Uhr nach mehr als zehn Jahren wieder das Weihnachtsoratorium von J. S. Bach in der Stadtpfarrkirche St. Verena auf, wobei neben den zwei Solistinnen (Yvonne Steiner, Sopran; Barbara Sauter, Alt) und zwei Solisten (Markus Herzog, Tenor; Franz Hawlata, Bass) das seit Jahren größte Orchester mit 20 Musikerinnen und Musikern mitwirkt. Die Leitung liegt in Händen von Robert Häusle; er hat uns folgende Ankündig…
67 Kinder des Bildungshauses eröffneten musikalisch
Weihnachtsmarkt Arnach: Ein neuer Rekord und eine Premiere
Arnach – Ein kleines Jubiläum feiern konnte die Feuerwehr Arnach mit dem von ihr organisierten Weihnachtsmarkt am Dorfplatz. Beim zehnten Weihnachtsmarkt gab es einen Rekord und die Premierenansprache vom neuen Ortsvorsteher Manfred Braun.
mit Bildergalerie
veröffentlicht am 8. Dezember 2025
40-jähriges Bestehen
Seniorentreff im Wachhäusle bot seinen Senioren eine gelungene Adventsfeier
Bad Wurzach – Der Seniorentreff im Wachhäusle, der vor kurzem sein 40-jähriges Bestehen feierte, lud zur Adventsfeier – und sehr viele Stammgäste kamen.
mit Bildergalerie
veröffentlicht am 8. Dezember 2025
Den Finkhof in Arnach erleben
Führung durch Manufakturen, Lager und Hofladen
Arnach – Die Schäfereigenossenschaft Finkhof in Bad Wurzach-Arnach, spezialisiert auf Herstellung und Vertrieb ökologisch hochwertiger Textilien, bietet am Freitag, 19. Dezember, eine Führung durch ihre Betriebsstätten in Arnach an. Sie geht von 14.00 Uhr bis ca. 16.00 Uhr. Man trifft sich vor dem Hofladen in St-Ulrich-Straße 1 in Arnach. Mehr Infos und Anmeldung unter Am 19. Dezember – Führung beim Finkhof bzw. https://finkhof.de/finkhof-blog/finkhof-betriebsbesichtigung-2025-dezember
6. & 7. Dezember 2025 – Ein Wochenende voller Emotionen, Bestleistungen und Herausforderungen
Großer Nikolaus-Spielbericht der TSG Bad Wurzach
Bad Wurzach – Das Nikolaus-Wochenende 2025 hielt für die Keglerinnen und Kegler der TSG Bad Wurzach wieder alles bereit, was diesen Sport so besonders macht: Spannung, persönliche Bestleistungen, lange Auswärtsfahrten, ein vereinsinternes Kräftemessen, starke Gegner und echte Teamarbeit. Während die Senioren B in Bad Wurzach antraten, verteilte sich der Nachwuchs über Vilsingen, Aulendorf und Denkendorf. Die Damen hatten den weitesten Weg und machten sich motiviert auf in Richtung Obernburg z…
Josef Herdrich legt nach 65 Jahren die Tuba aus der Hand
Stadtkapelle Bad Wurzach segelte in ein musikalisches Freudenmeer
Bad Wurzach – Es war ein ganz besonderes Konzert, das Dirigentin Petra Springer für diesen Samstagabend (6.12.) mit ihren Musikern einstudiert hatte. Aber das Konzert bot über die Musik hinaus noch weitere Höhepunkte.
mit Bildergalerie
veröffentlicht am 8. Dezember 2025
HGV-Jahreshauptversammlung
Christiane Vinçon-Westermayer als Erste Vorsitzende bestätigt
Bad Wurzach – Am 3. Dezember hielt der Handels- und Gewerbeverein (HGV) seine diesjährige Jahreshauptversammlung ab. Man hielt Rückschau auf die Aktivitäten seit der letzten Hauptversammlung am 12. Juni 2024, führte Teilwahlen durch und hatte einen Redner von der IHK zu Gast, der sich mit der Bad Wurzacher Innenstadt befasste. Heuer kam man im Ratssaal in Maria Rosengarten zusammen. Etwa 40 HGV-Mitglieder waren der Einladung gefolgt.
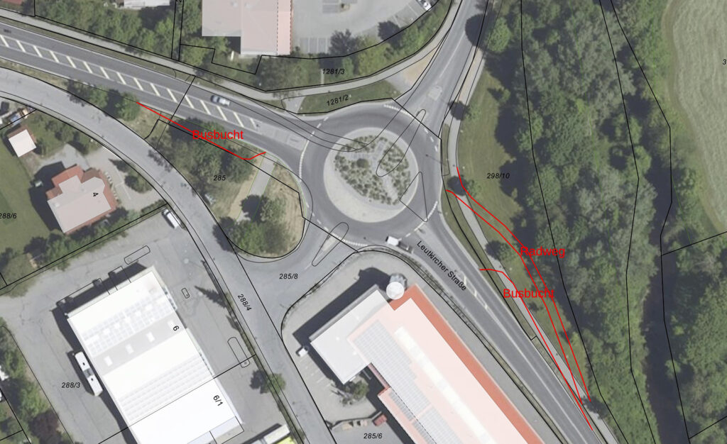
Polizeibericht
In Kimpfler Unfall nach Vorfahrtsmissachtung
Bad Wurzach – Am Samstagnachmittag (6.12.) gegen 17.45 kam es auf der L314 an der Einmündung nach Haidgau, Höhe Kimpfler, zu einem Verkehrsunfall mit Beteiligung von zwei Pkws.
Ende einer verdienstvollen Reihe
Der letzter Nachmittag des Ökumenischen Seniorenkreises
Bad Wurzach – Mit adventlichen Liedern und einem wehmütigen Blick zurück hat sich der Ökumenische Seniorenkreis (ÖSK) am Mittwoch zu seinem letzten gemeinsamen Nachmittag getroffen. „Lasst uns froh und munter sein“ erklang im voll besetzten Saal des Pius-Scheel-Hauses – ein Lied, das gut zur Atmosphäre passte: dankbar, warmherzig, aber auch von Abschied geprägt. Gegründet worden war der ÖSK vor 50 Jahren von Stefanie Lacher und der Pfarrersfrau Moser.
KURZMITTEILUNGEN
Bad Wurzach
Mit einem Klick zur Gottesdienst-Übersicht
Bad Wurzach – Die Bildschirmzeitung “Der Wurzacher” bietet einen Gottesdienst-Service: Auf der St…
Mit einem Klick zur Gottesdienst-Übersicht
Bad Wurzach – Die Bildschirmzeitung “Der Wurzacher” bietet einen Gottesdienst-Service: Auf der St…
Kontakt zur Bildschirmzeitung
Bad Wurzach (rei) – Wegen technischer Schwierigkeiten war unser Bad Wurzach-Reporter Uli Gresser …
Kontakt
Redaktion
Anzeigen
Wichtige Hinweise
Sport- und Schulberichterstattung
Herausgeber und Redaktion der Bildschirmzeitung freuen sich über die vielen zugelieferten Artikel. Ab sofort verfahren wir bei Sport- und Schulberichten so: Berichte aus diesen Themenbereichen werden in der Regel nur noch im Ressort „Sport“ beziehungsweise „Schule“ veröffentlicht; der Zugang zu diesen Themenbereichen ist leicht zu finden: in der rechten Spalte der jeweiligen Ortsseite oder über die Menü-Punkte unter dem Ortsnamen am Kopf der Seite. Im Haupttextstrom werden Berichte aus den Bereichen Sport und Schule dann platziert, wenn sie besonders bedeutsam sind wie zum Beispiel eine Meisterschaft oder die Besetzung einer Schulleiterstelle oder eine wichtige Schulbaumaßnahme. – Diese Regelung gilt vorerst nicht für die Ausgaben „Kisslegg“ und „Aulendorf“, bei denen der Textanfall derzeit eine solche Weichenstellung noch nicht erforderlich macht.
AUS DEN SCHULEN
Bad Wurzach
Tag der offenen Tür lockte wieder große Besucherscharen an
Bad Wurzach – Die zukünftigen Fünftklässler werden für die Vorbereitung auf das Abitur aufgrund d…
AGAPE Schulen laden zum Tag der offenen Tür ein
Bad Wurzach -Die AGAPE Schulen in Bad Wurzach öffnen am Mittwoch, 11. Februar, ihre Türen – …
Viele Eltern mit ihren Viertklässlern kamen zum Schnuppertag
Bad Wurzach – Schulleiterin Julia Kiebler, ihr Konrektor Klaus Patzner und die Lehrerschaft der W…
Einladung zum Schnuppernachmittag der Realschule Bad Wurzach
Bad Wurzach – Nach den Gesprächen und Empfehlungen der Grundschule steht alsbald die Entscheidung…
Konzert des Salvatorkollegs auf dem Gottesberg
Bad Wurzach – Die Fachschaft Musik des Salvatorkollegs gab am Samstag, 24. Januar, ein gelungenes…
SPORT
Bad Wurzach
Bo Subr wird die Towerstars nach der Saison verlassen
Ravensburg – Die Ravensburg Towerstars wollen im Rahmen der Personalplanungen zur neuen Saison fü…
Englische Woche mit ganz wichtigen Punkten
Ravensburg – Die Hauptrunde der DEL2 geht in eine ganz wichtige und möglicherweise vorentscheiden…
Skispringerin Agnes Reisch sowie die Skilangläufer Friedrich und Jakob Moch sind in Italien am Start
Isny drückt seinen Wintersportlern bei Olympia die Daumen
Isny – Die Stadt Isny ist bei den vom 6. bis 22. Februar dauernden Olympischen Winterspielen in M…
EV Ravensburg am morgigen Freitag gegen Fürstenfeldbruck
Ravensburg – Der EV Ravensburg hat am Freitag um 20.00 Uhr in der Landesliga Bayern Schlusslicht …
Spielbericht vom 31.01.2026 und 01.02.2026
Bad Wurzach – Am vergangenen Wochenende stellten sich die Keglerinnen und Kegler der TSG Bad Wurz…
VERANSTALTUNGEN
Bad Wurzach
TOP-THEMEN
Bad Wurzach
Bad Wurzach (rei) – Die Bildschirmzeitung „Der Wurzacher“ begleitet das Premium-Projekt „Kurhaus-Sanierung“ mit große…
Bad Wurzach – Eine sehr große Trauergemeinde hat am 5. Februar Karl Mayer auf seinem letzten Weg begleitet. Der ehema…
Kommentar
Essen für das Kurhaus
Die Kurhaus-Genossen schenkten bei der Generalversammlung reinen Wein ein. Das Projekt „Flottmachen des dümpelnden Ku…
ANZEIGE
TAGESEMPFEHLUNGEN
Bad Wurzach
MEISTGELESENE ARTIKEL
Bad Wurzach
Kurhaus-Genossenschaft hatte Generalversammlung
Bad Wurzach (rei) – Am 3. Februar fand die 3. Generalversammlung (GV) der Kur…
60 Stellen sind weggefallen
Bad Wurzach – Die LISSMAC Maschinenbau GmbH mit Sitz in Bad Wurzach hat ihre …
Großer Bahnhof für scheidenden Zunftmeister Andreas Kowalewski
Arnach – Zum dritten Mal veranstaltete die Narrenzunft Schoafböck Arnach ihre…
Beste Laune und sehr viele närrische Besucher
Arnach – Zum dritten Mal organisierte die 1999 gegründete Narrenzunft der Sch…
Personelle Wechsel in Vorstand und Aufsichtsrat
Bad Wurzach – Die Kurhausgenossenschaft lud am 3. Februar zu ihrer dritten Ge…
Das Magazin für Oberschwaben
Editorial BLIX Januar/Februar 2026
Liebe Leserinnen, liebe Leser, das Jahr 2025 ist Geschichte. Es war nicht weniger anstrengend als 2024, wie ich finde. Doch bevor wir auf das neue Jahr 2026 hoffen, möchte ich mich bedanken: bei Ih…
Der Waldler
Altdorfer Wald – Worum geht’s zehn Jahre nach dem Klimaschutzabkommen in Paris, das die globale Erderwärmung auf 1,5 Grad begrenzen soll? Es geht um ein Stück Wald, elf Hektar groß in der Nähe von …
Mehr gefällig?
MEINUNGSBEITRÄGE
Bad Wurzach
Kommentar
Essen für das Kurhaus
Die Kurhaus-Genossen schenkten bei der Generalversammlung reinen Wein ein. Das Projekt „Flottmachen des dümpelnden Ku…
Leserbrief
Das Kurhaus ist auf einem guten Weg
Zur Generalversammlung der Kurhaus-Genossenschaft
Zum Artikel „Stadt muss den Kurbetrieb mit 1,5 Millionen Euro stützen” (DBSZ am 28.1.)
Leserbrief
Mein Mülltagebuch
Auf unseren Aufruf hin, uns Erfahrungen mit der schleppenden Müllabfuhr mitzuteilen, hat uns Peter Allgaier sein Müll…
Leserbrief
Anscheinend geht es drunter und drüber
Zum Artikel „Die Lage scheint sich zu entspannen” (DBSZ am 22. Januar)
























